4
1
Zona alto passaggio

Descrizione

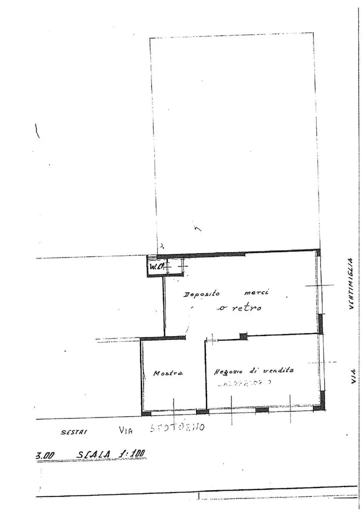
Rif. DB4003 - Rif. DB4003 - "Zona Sant'Agnese" Proponiamo in vendita Locale commerciale di ampie metrature al piano terra disposto ad angolo con 5 vetrine vista strada. L'intero stabilimento è stato ristrutturato con bonus 110%. Categoria catastale: C/1 Richiesta: Euro 110.000 Per informazioni e visite: 059 21 52 380 - 351 5940347 CLASSE ENERGETICA: G

Planimetrie

Altre caratteristiche

Categoria Immobile
Commerciali e Attività
Tipologia Immobile
Negozio / Locale Commerciale
Metri Quadri
102 mq
Classe energetica
G
Posto auto
Nessuno
Riscaldamento
Centralizzato
Bagni
1
Stato Immobile
In buone condizioni
Contatta Agenzia
Proposto da: IMMOBILIARE LE TORRI

Quotazioni immobiliari per Modena